Whatsapp »
+507 6847-7001
inversiones

Se vende lote en centro histórico de colón

Venta de inversiones en Barrio norte
Contactar a InmoPanama
¡Respuesta en minutos!
Anuncio Vencido.
Encuentre la inversion perfecto para usted.
Deje en nuestras manos la búsqueda de su inversion.
Consultas por Whatsapp las 24hs:
+507 6847-7001
Ver fotos »
¿Quieres ver propiedades similares a esta? Tenemos propiedades con las mismas caracteristicas.
Precio:
Consultar
Tamaño:
1m²
¡Aprovecha nuestros descuentos especiales!
Compra ahora y financia facilmente
Pago inicial:
$ *.***
Letra quincenal:
$ ***
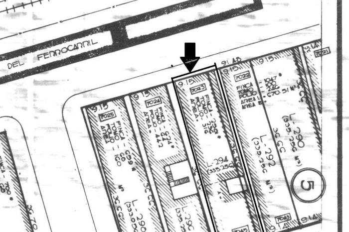
Se vende lote en centro histórico de colón Se vende lote de 334.26m2 en el centro histórico de la ciudad de colón, entre calle 7 y 8 avenida del frente y avenida balboa. paralelo a la antigua estación del ferrocarril de panamá, actualmente i.n.a.c. ideal para inversionistas de infraestructuras y comerciantes nacionales y extranjeros. adquiriendo así todos los beneficios fiscales que otorga el proyecto colón puerto libre. aproveche los precios del mercado en el área y sea parte del plan maestro de revitalización económica de la provincia. la ubicación de este lote esta cerca del puerto de cristóbal, bancos como el general, hoteles como el  hotel washington y la gobernación en la avenida bolívar. precio por debajo del avalúo. propietario motivado a vender. llame y pida su cita. estamos para atenderle.
Ubicacion:
Barrio norte
Inversiones » Panamá » Colón » Colón ciudad » Barrio norte
¿Quieres ver propiedades similares a esta? Tenemos propiedades con las mismas caracteristicas.
Bienes raices Barrio norte
Inversiones en Barrio norte
Enviar propiedades
Actualmente encontramos 6 propiedades.
Escribe el Whatsapp donde quieres recibirlas: